
















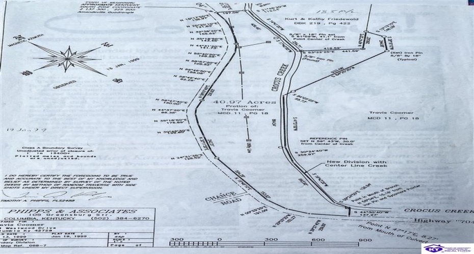
Located off Fairplay Rd and Oval Petty Rd, this enchanting 59.75-acres of land is divided into two parcels. Parcel one is 18.78 acres and parcel two is 40.97 acres. This land is a nature lover’s dream. Boasting a mix of picturesque landscapes, it includes Crocus Creek, open pasture, and serene woods. Adding a touch of history to the scenery, two tall chimneys stand as remnants from a historic home, providing a glimpse into the past. A natural spring adds to the allure of this property, offering a potential water source. Additionally, the previous owners have installed a septic tank and drain field adjacent to an old house that’s no longer there, enhancing its potential for future development or a peaceful retreat. This property offers a harmonious blend of natural beauty and historical remnants. It’s a tranquil setting for various outdoor activities and exploration. Notably, an easement on the property allows access to a small cemetery and utility line, further enhancing its uniqueness. Whether for residential development, agriculture, or simply enjoying the beauty of the land, this property holds immense potential.